Durante las próximas horas, se prevén lluvias intensas (de 75 a 150 milímetros [mm]) en Jalisco (costa y sur), Colima, Michoacán (costa) y Guerrero (suroeste); muy fuertes (de 50 a 75 mm) en Nayarit, y rachas de viento de 60 a 80 kilómetros por hora (km/h) en costas de Jalisco, Colima y Michoacán, y de 40 a 60 km/h en Guerrero y Nayarit.
Asimismo, se pronostican oleaje de 3 a 4 metros (m) de altura y trombas marinas en costas de Jalisco, Colima y Michoacán, y de 2 a 3 m en costas de Guerrero, Nayarit y Sinaloa (sur).
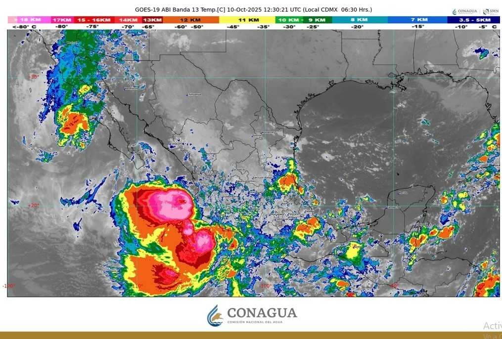
A las 06:00 horas, tiempo del centro de México, el centro de la tormenta tropical Raymond se localizó a 95 kilómetros (km) al suroeste de Punta San Telmo, Michoacán, y a 265 km al oeste de Zihuatanejo, Guerrero, con vientos máximos sostenidos de 95 km/h, rachas de 110 km/h y desplazamiento hacia el oeste-noroeste a 22 km/h.
El Servicio Meteorológico Nacional (SMN), de la Comisión Nacional del Agua (Conagua), en coordinación con el Centro Nacional de Huracanes de Estados Unidos de América, mantiene una zona de prevención por efectos de tormenta tropical de Zihuatanejo, Guerrero, a Cabo Corrientes, Jalisco, y una zona de vigilancia por efectos de vientos de tormenta tropical desde Los Barriles a Santa Fe, Baja California Sur.
Por otra parte, la tormenta tropical Priscilla, en proceso de disipación, se localizó a 250 km al sur de Punta Eugenia y a 310 km al oeste-noroeste de Cabo San Lázaro, Baja California Sur, con vientos máximos sostenidos de 85 km/h, rachas de 100 km/h y desplazamiento hacia el norte a 9 km/h.
Sus bandas nubosas ocasionarán lluvias fuertes (de 25 a 50 mm) en Baja California Sur, intervalos (de 5 a 25 mm) de chubascos en Baja California y rachas de viento de 40 a 60 km/h y oleaje de 2 a 3 m en la costa occidental de la península de Baja California.
Las lluvias generadas podrían ser con descargas eléctricas y propiciar encharcamientos, deslaves e inundaciones en zonas bajas de los estados mencionados. Asimismo, los vientos previstos podrían derribar árboles y anuncios publicitarios, por lo que se exhorta a la población a atender los avisos del SMN, seguir las recomendaciones de Protección Civil y extremar precauciones ante el viento y oleaje elevado.
